Lote em San Roque, Juárez
Terrenos planos à venda em Juárez, N.L. Localizados na Prolongação Pablo LivasTerrenos planos en Venta en Juárez, N.L. Ubicados sobre Prolongación Pablo Livas
Terrenos planos à venda em Juárez, N.L. localizado na Prolongación Pablo Livas.
Ótima oportunidade de terrenos comerciais na Prolongación Pablo Livas, com viabilidade de uso comercial, cercado por fracionamentos, em área residencial, com grande potencial para grandes comércios ou lojas de conveniência, a 5 minutos do Soriana Hiper em Sendero San Roque.
Venda de dois terrenos comerciais planos em Juárez Nuevo León, na Prolongación Pablo Livas.
Disponíveis:
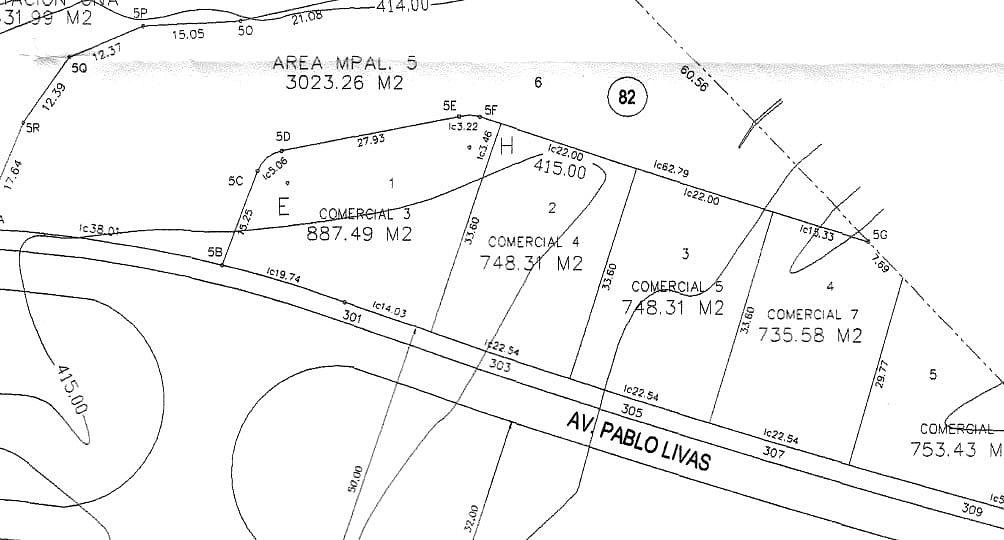
*Lote 1 Quadra 82
Terreno: 887,49 m2
Frente: 22,03m
Fundo: 32,80m
$2.653.595
*Lote 2 Quadra 82 (localizado ao lado da construção da IZZI)
Terreno: 748,31m2
Frente: 22,01
Fundo: 33,65
$2.237.447
*Com serviços na calçada.Terrenos planos en Venta en Juárez, N.L. ubicado sobre Prolongación Pablo Livas.
Gran oportunidad de Terrenos Comerciales en Prolongación Pablo Livas, con factibilidad de uso comercial, rodeado de fraccionamientos, en zona habitacional, con gran potencial para grandes comercios o tiendas de conveniencia, se encuentra a 5 min. de Soriana Hiper en Sendero San Roque.
Venta de dos terrenos planos comerciales en Juárez Nuevo León, sobre Prolongación Pablo Livas.
Disponibles:
*Lote 1 Manzana 82
Terreno: 887.49 m2
Frente: 22.03m
Fondo 32.80m
$ 2,653,595
*Lote 2 Manzana 82 (se encuentra al lado de la construcción de IZZI)
Terreno: 748.31m2
Frente: 22.01
Fondo: 33.65
$ 2,237,447
*Con servicios a pie de calle.
Anunciante
Dados do anúncio
- ID do anúncio EB-VQ9577
- Tipo de operação Venda
- Tipo de imóvel Lote
- Bairro San Roque
