Listas

Terreno en Venta en Cumbres 5D

Salvou Salve
1 de 3
2 de 3
3 de 3
1 de 3
1 / 3
2 de 3
2 / 3
3 de 3
3 / 3
Fechar
ID: EB-VM4349
Publicados
$4.450.000 MXN
À venda

Terreno en Venta en Cumbres 5D

Lote em Las Cumbres 5 Sector D-1, Monterrey

Sylvia zertuche
ARBOR DOMUS Bienes Raíces
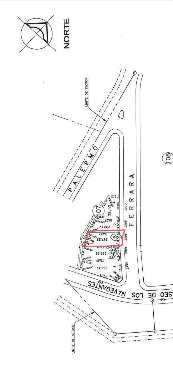
247 m² Tamanho do lote
25 m de comprimento
9,5 m de largura
Ano de construção: Novo
Descrição
Veja originalVeja em português

Terreno à Venda em Cumbres 5 D
Monterrey

$4.450.000
247 m2 (9,5 metros de frente)
Lote Ascendente

Invista e viva neste bairro de alto valor na Zona Cumbres.

Terreno ascendente de 247m2 com excelentes vistas para a cidade e para a montanha, conta com serviços subterrâneos à beira da rua. Em uma localização privilegiada acima de Leones, encontra-se em um ambiente privilegiado e tranquilo, pois está em uma rua com apenas tráfego local, além de estar muito próximo a centros comerciais, escolas, etc.

Conta com viabilidade de água e esgoto, estudos de topografia e mecânica de solos. Além disso, conta com um projeto arquitetônico que lhe dará ideias para sua construção.
Venha conhecê-lo! Entre em contato conosco para mais informações ou para agendar uma visita.
Terreno en Venta en Cumbres 5 D
Monterrey

$4,450,000
247 m2 (9.5 mts de frente)
Lote Ascendente

Invierte y vive en esta colonia de alta plusvalía en Zona Cumbres.

Terreno ascendente de 247m2 con excelentes vistas a la ciudad y a la montaña, cuenta con servicios subterráneos a pie de calle. En una ubicación privilegiada arriba de Leones, se encuentra en un entorno privilegiado y tranquilo, ya que se encuentra en calle con solo tráfico local, asimismo muy cercano a centros comerciales, colegios, etc.

Cuenta con factibilidad de agua y drenaje, estudios de topografía y mecánica de suelos. Además cuenta con proyecto arquitectónico el cual te brindará ideas para tu construcción.
¡Ven a conocerlo! Contáctanos para más información o agendar una visita.

Opções de financiamento
Veja originalVeja em português
  • Mortgage

Localização
Link de cópia

Ferrarra, Las Cumbres 5 Sector D-1, Monterrey, Nuevo León

Sylvia zertuche
ARBOR DOMUS Bienes Raíces
Enviar mensagem