Listas

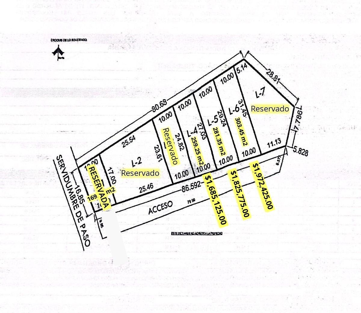
Lote de terreno (L-5) à VENDA de 281,35 m2 em frente à Escola AmericanaLote de terreno (L-5) en VENTA de 281.35 m2 frente al Colegio Americano

Salvou Salve
1 de 5
2 de 5
3 de 5
4 de 5
5 de 5
1 de 5
1 / 5
2 de 5
2 / 5
3 de 5
3 / 5
4 de 5
4 / 5
5 de 5
5 / 5
Fechar
ID: EB-RW8512
Publicados
$1.825.775 MXN
À venda

Lote de terreno (L-5) à VENDA de 281,35 m2 em frente à Escola AmericanaLote de terreno (L-5) en VENTA de 281.35 m2 frente al Colegio Americano

Lote em 5 Plumas, Tuxtla Gutiérrez

Lupita Solís
Lupita Solís Bienes Raices
281,35 m² Tamanho do lote
Descrição
Veja originalVeja em português

Se VENDE lote de terreno en privada ubicada en Fraccionamiento 5 Plumas, a un costado del Fraccionamiento El Roble, frente al Colegio Americano, de fácil acceso al Boulevard Belisario Dominguez, entrando frente al TEC (Tecnológico Nacional) cerca de plazas comerciales, mercados y tiendas de conveniencia.

Superficie del terreno: 281.35 m2 .
Medidas del terreno:
- Al Norte: 10 metros.
- Al Sur: 10 metros.
- Al Poniente: 27.03metros.
- Al Oriente: 29.24 metros.

Cuenta con todos los servicios a pie del lote (agua, luz y drenaje), plano y listo para construir.

Agenda tu cita hoy mismo. ¡Invierte en bienes raíces!

* Documentos en regla, libre de gravamen.
* El precio está sujeto a cambio sin previo aviso.
* El precio no incluye gastos de escrituración, ni gestorías, impuestos o avalúos.
* Sugerencias comentarios y/o quejas al correo electrónico lupita.solisinmobiliaria@gmail.com
* Horario de atención: 9:00 a.m. a 5:00 p.m., de lunes a viernes.
* El inmueble se encuentra libre de gravamen.
* Formas y planes de pago de los inmuebles: (Contado y crédito bancario).

Localização
Link de cópia

Arboleras, 5 Plumas, Tuxtla Gutiérrez, Chiapas

Lupita Solís
Lupita Solís Bienes Raices
Enviar mensagem