Lote em 5 Plumas, Tuxtla Gutiérrez
Lote de terreno (L-4) à VENDA de 259,25 m2 em frente à Escola AmericanaLote de terreno (L-4) en VENTA de 259.25 m2 frente al Colegio Americano
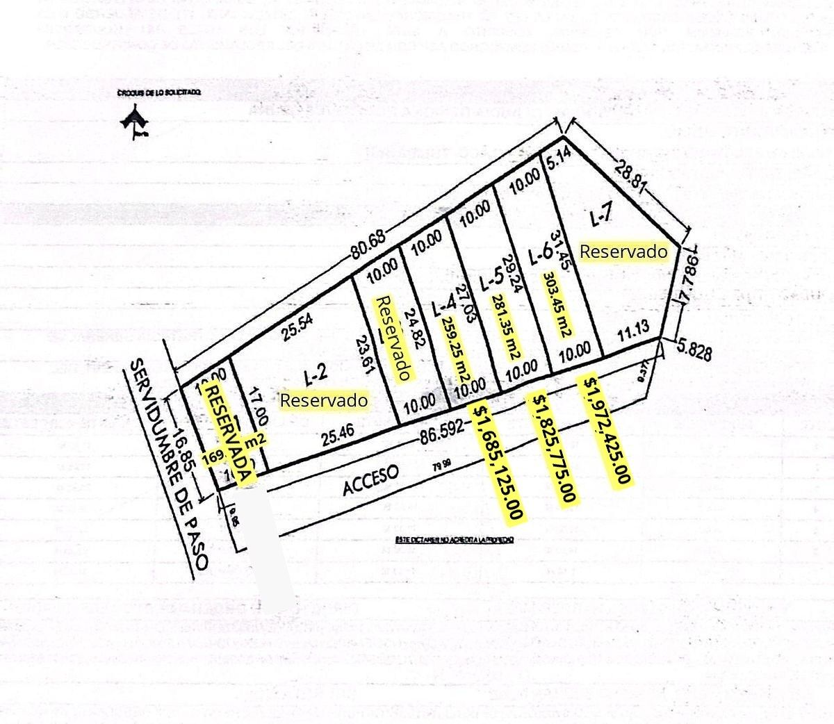
Se VENDE lote de terreno en privada ubicada en Fraccionamiento 5 Plumas, a un costado del Fraccionamiento El Roble, frente al Colegio Americano, de fácil acceso al Boulevard Belisario Dominguez, entrando frente al TEC (Tecnológico Nacional) cerca de plazas comerciales, mercados y tiendas de conveniencia.
Superficie del terreno: 259.25 m2 .
Medidas del terreno:
- Al Norte: 10 metros.
- Al Sur: 10 metros.
- Al Poniente: 24.82 metros.
- Al Oriente: 27.03metros.
Cuenta con todos los servicios a pie del lote (agua, luz y drenaje), plano y listo para construir.
Agenda tu cita hoy mismo. ¡Invierte en bienes raíces!
* Documentos en regla, libre de gravamen.
* El precio está sujeto a cambio sin previo aviso.
* El precio no incluye gastos de escrituración, ni gestorías, impuestos o avalúos.
* Sugerencias comentarios y/o quejas al correo electrónico lupita.solisinmobiliaria@gmail.com
* Horario de atención: 9:00 a.m. a 5:00 p.m., de lunes a viernes.
* El inmueble se encuentra libre de gravamen.
* Formas y planes de pago de los inmuebles: (Contado y crédito bancario).
