Google Play
$31.479,60 MXN
Para alugar
Local em Casa Magna, Mexicali
Aluguel Local Casa Magna Mexicali 31.479,60 MarHop RAALocal Renta Casa Magna Mexicali 31,479.60 MarHop RAA
Espaço comercial para alugar na Cidade de Mexicali
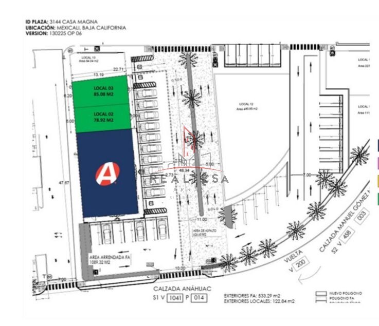
Área: 85,08 m2
Inclui Vagas de EstacionamentoLocal comercial en renta en Ciudad Mexicali
Superficie: 85.08 m2
Cuenta con Cajones De Estacionamiento
Comodidades
Exterior
- Facilidade de estacionar
Localização
Casa Magna, Mexicali, Baja California
Anunciante
Grupo Realtesa Bienes Raíces
Dados do anúncio
- ID do anúncio EB-UL9631
- Tipo de operação Aluguel
- Tipo de imóvel Local
- Bairro Casa Magna
