Lote comercial em Ciudad Industrial, Celaya
Av. México-Japón: Magnificos terrenos para tu empresa, con alto flujo vehicular.
Terrenos na área industrial e comercial de Celaya, a 5 minutos da Ciudad Industrial, Parque Celaya, Plaza Factoria, Hospital San José, bancos, Hotel México, concessionárias de automóveis, restaurantes, etc.
Alto fluxo de veículos, excelentes vias, acesso rápido à rodovia México-León, saída para San Miguel de Allende e saída rápida para a estrada para Salamanca e Morelia.
Terreno 1: 18.012 M2 Acesso de 130 M pela Camino a Pelavacas.
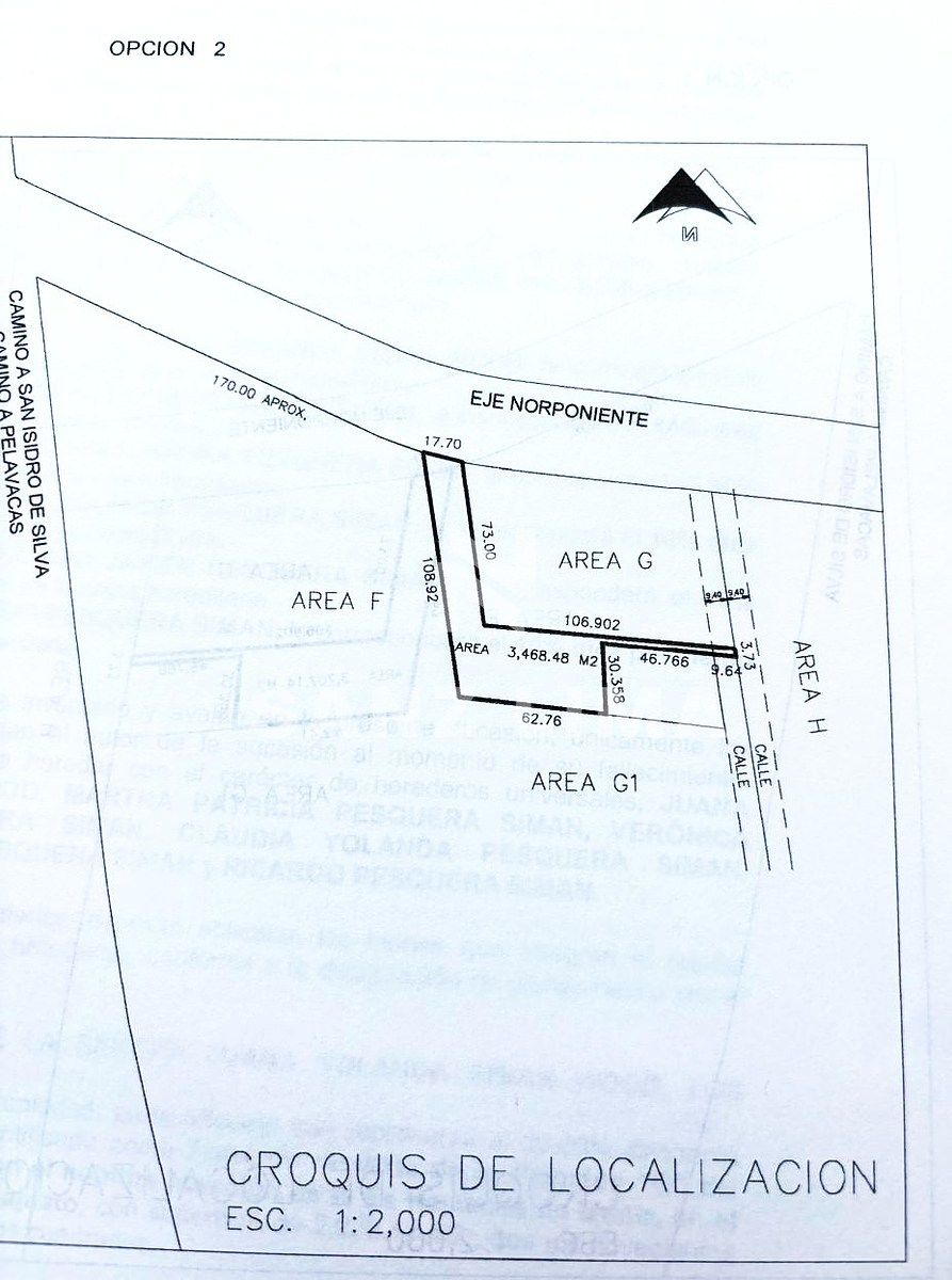
Terreno 2: 3.468 M2 Acesso de 17 M pela Av. México-Japón
Terreno 3: 11.800 M2 Acesso de 46 M pela Prol. Miguel Hidalgo (Projeto)
IMPORTANTE:
O preço da propriedade não inclui despesas operacionais.
O preço e a disponibilidade desta propriedade estão sujeitos a alterações sem aviso prévio.Terrenos en la zona industrial y comercial de Celaya, a 5 minutos de Ciudad Industrial, Parque Celaya, Plaza Factoria, Hospital San José, bancos, Hotel México, agencias automotrices, restaurantes, Etc.
Alto flujo vehicular, excelentes vialidades, acceso rapido a autopista México-León, salida a San Miguel de Allende, y rapida salida a la carr. a Salamanca y Morelia.
Terreno 1: 18,012 M2 Acceso de 130 M por Camino a
Pelavacas.
Terreno 2: 3,468 M2 Acceso de 17 M. por Av. México-Japón
Terreno 3: 11,800 M2 Acceso de 46 M. por Prol. Miguel
Hidalgo (Proyecto)
IMPORTANTE:
El precio de la propiedad no incluye los gastos de operación
El precio y la disponibilidad de esta propiedad están sujetos a cambio sin previo aviso.
Anunciante
Dados do anúncio
- ID do anúncio EB-VL9927
- Tipo de operação Venda
- Tipo de imóvel Lote comercial
- Bairro Ciudad Industrial
