Terreno de 10.172 m² em Hunucmá – Perfeito para projeto de grande escalaTerreno de 10,172 m² en Hunucmá – Perfecto para proyecto de gran escala

Salvou Salve
1 de 5
2 de 5
3 de 5
4 de 5
5 de 5
1 de 5
1 / 5
2 de 5
2 / 5
3 de 5
3 / 5
4 de 5
4 / 5
5 de 5
5 / 5
Fechar
ID: EB-UT8631
Publicados
$1.729.382,46 MXN
À venda

Terreno de 10.172 m² em Hunucmá – Perfeito para projeto de grande escalaTerreno de 10,172 m² en Hunucmá – Perfecto para proyecto de gran escala

Lote em San Antonio Chel, Hunucmá

10.172,84 m² Tamanho do lote
Descrição
Veja originalVeja em português

[TPP-752]
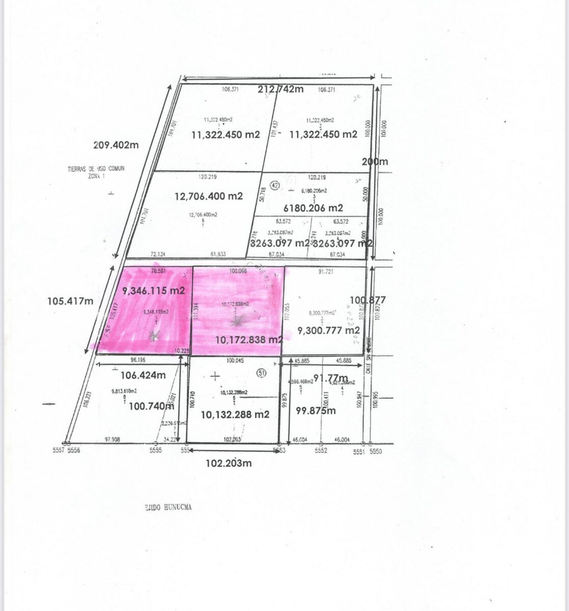
Se você está procurando um terreno amplo, estratégico e com alto potencial de desenvolvimento, este lote de 10.172,838 m² em San Antonio Chel, Hunucmá, é uma das melhores opções do oeste do Yucatán. Com uma forma quase quadrada que facilita qualquer tipo de traçado ou subdivisão, este imóvel é ideal para armazéns, projetos de investimento, loteamento ou desenvolvimentos eco-residenciais.

Localizado a apenas 13–15 km da praia de Sisal e aproximadamente 3–4 km da estrada principal Hunucmá–Sisal, este terreno oferece uma localização privilegiada em uma área onde a valorização cresce ano após ano, graças ao corredor industrial e logístico que cerca Hunucmá.

Localização: San Antonio Chel, Hunucmá, Yucatán
Área total: 10.172,838 m²
Medidas:
• Frente: 100,06 m
• Fundo: 101–102 m
A apenas 15 min da praia de Sisal, tempo estimado.
A 3–4 km da estrada Hunucmá–Sisal
Eletricidade próxima
Ideal para: Desenvolvedores, investidores, armazéns, pequenos parques ou loteamento privado

Oportunidade única para quem busca espaço, localização e potencial.
Entre em contato conosco para visita e análise comercial.
[TPP-752]
Si buscas un terreno amplio, estratégico y con alto potencial de desarrollo, este lote de 10,172.838 m² en San Antonio Chel, Hunucmá, es una de las mejores opciones del poniente yucateco. Con una forma casi cuadrada que facilita cualquier tipo de trazo o subdivisión, este predio es ideal para bodegas, proyectos de inversión, lotificación o desarrollos eco-residenciales.

Ubicado a solo 13–15 km de la playa de Sisal y aproximadamente 3–4 km de la carretera principal Hunucmá–Sisal, este terreno ofrece una ubicación privilegiada en una zona donde la plusvalía crece año con año gracias al corredor industrial y logístico que rodea Hunucmá.

Ubicación: San Antonio Chel, Hunucmá, Yucatán
Superficie total: 10,172.838 m²
Medidas:
• Frente: 100.06 m
• Fondo: 101–102 m
A solo 15 min de la playa de Sisal, tiempo estimado.
A 3–4 km de la carretera Hunucmá–Sisal
Electricidad cercana
Ideal para: Desarrolladores, inversionistas, bodegas, parques pequeños o lotificación privada

Oportunidad única para quienes buscan metros, ubicación y potencial.
Contáctanos para visita y análisis comercial.

Localização
Link de cópia

Pueblo San Antonio Chel, San Antonio Chel, Hunucmá, Yucatán

Enviar mensagem