TERRENO À VENDA NO PASEO COUNTRYTERRENO EN VENTA EN PASEO COUNTRY

Salvou Salve
1 de 5
2 de 5
3 de 5
4 de 5
5 de 5
1 de 5
1 / 5
2 de 5
2 / 5
3 de 5
3 / 5
4 de 5
4 / 5
5 de 5
5 / 5
Fechar
ID: EB-QJ7375
Publicados
$1.171.584 MXN
À venda

TERRENO À VENDA NO PASEO COUNTRYTERRENO EN VENTA EN PASEO COUNTRY

Lote em Yucatán Country Club, Mérida

Yucatan Plus Bienes Raíces
Yucatán Plus Bienes Raices
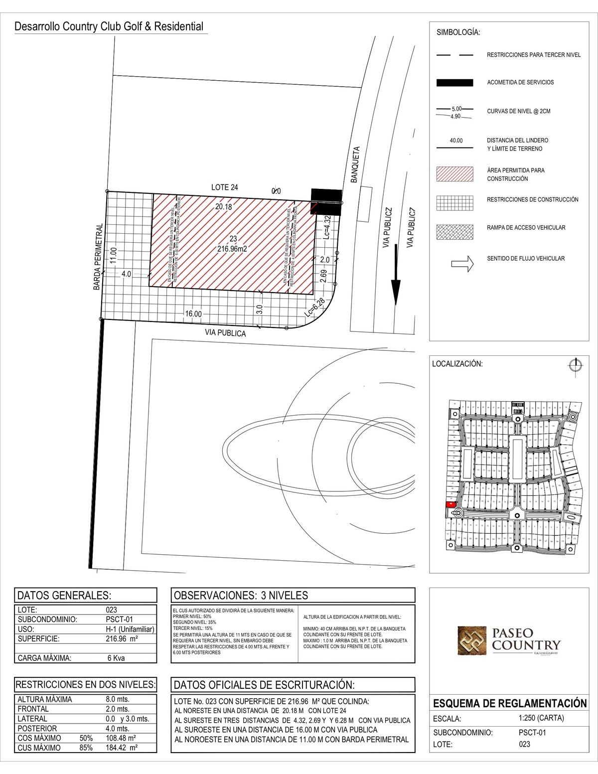
216,96 m² Tamanho do lote
Descrição
Veja originalVeja em português

TERRENO À VENDA NO PASEO COUNTRY
Tudo o que você precisa, a poucos passos de distância: Paseo Country é o novo do Yucatan Country Club –designado como o melhor estilo de vida do país—, um projeto que se materializa na forma de uma verdadeira comunidade de usos mistos chamada Paseo Country, onde se reunirão os melhores restaurantes, lojas, comércios e cafés do país, além de residências para alunos, apartamentos, escritórios, habitações privadas exclusivas e mais, em um ambiente seguro e confortável. Lotes residenciais extensos e impactantes cercados por parques ecológicos e excelente urbanização fazem de viver no Paseo Country uma experiência nunca antes vista.
Paseo Country Downtown é um projeto de usos mistos dos criadores do Yucatán Country Club que oferece a seus investidores e residentes a experiência única e inigualável do Território Country, ao fundir em um único ambiente um Distrito Residencial, Distrito Comercial e Distrito Corporativo com o melhor estilo de vida da região.
Este desenvolvimento projeta a primeira comunidade acadêmica do sudeste da república, sendo lar da Universidade Anáhuac Mayab, uma instituição inovadora e de excelência, assim como da melhor escola bilíngue do país, a Madison International School.

SUPERFÍCIE
-216,96 M2
CUSTO:
$5.400,00 por metro quadrado

PREÇOS SUJEITOS A ALTERAÇÃO SEM AVISO PRÉVIO.
TERRENO EN VENTA EN PASEO COUNTRY
Todo lo que necesitas, a pasos de distancia: Paseo Country es lo nuevo del Yucatan Country Club –designado como el mejor estilo de vida del país—, un proyecto que se materializa en forma de una verdadera comunidad de usos mixtos llamada Paseo Country, donde se reunirán los mejores restaurantes, tiendas, comercios y cafés del país, hasta residencias para alumnos, departamentos, oficinas, exclusivas privadas habitacionales y más, en un entorno seguro y cómodo. Extensos e impactantes lotes residenciales rodeados de parques ecológicos y excelente urbanización hacen de vivir en Paseo Country una experiencia nunca antes vista.
Paseo Country Downtown es un proyecto de usos mixtos de los creadores de Yucatán Country Club que brinda a sus inversionistas y residentes la experiencia única e inigualable del Territorio Country, al fusionar en un solo entorno un Distrito Residencial, Distrito Comercial y Distrito Corporativo con el mejor lifestyle de la región.
Este desarrollo proyecta la primera comunidad académica del sureste de la república, al ser hogar de la Universidad Anáhuac Mayab, institución innovadora y de excelencia, así como del mejor colegio bilingüe del país, el Madison International School.

SUPERFICIE
-216.96 M2
COSTO :
$5,400.00 por metro cuadrado

PRECIOS SUJERO A CAMBIO SON PREVIO AVISO

Comodidades
Exterior
  • Facilidade de estacionar
  • Geral
  • Segurança 24 horas
  • Lazer
  • Parque infantil
  • Localização
    Link de cópia

    Yucatán Country Club, Mérida, Yucatán

    Enviar mensagem