Terreno en Venta en Sierra Alta 9° Sector, Monterrey

Guardado Guardar
1 de 1
1 de 1
1 / 1
Cerrar
ID: EB-VB5387
Publicado
$12,420,000 MXN
En Venta

Terreno en Venta en Sierra Alta 9° Sector, Monterrey

Terreno en Sierra Alta 9o Sector, Monterrey

Cortés García Realty Group
Cortés García Realty Group
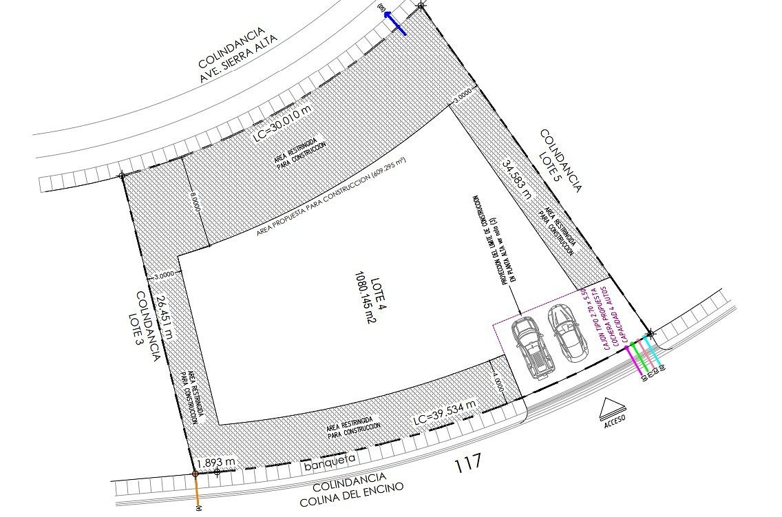
1,080 m² de terreno
36 m de largo
39 m de frente
Descripción

Terreno en Venta en Sierra Alta Superficie de 1,080 M2, servicios a pie del lote. Disfruta de vistas impresionantes y un entorno natural privilegiado. Ideal para construir tu hogar soñado.

Frente de 39 Metros

Fondo de 36 Metros

Descendente

Colinda con limite del Fraccionamiento, hacia la Av Sierra Alta

Amenidades
General
  • Fraccionamiento privado
  • Seguridad 24 horas
  • Recreación
  • Área de juegos infantiles
  • Ubicación
    Copiar enlace

    Sierra Alta 9o Sector, Monterrey, Nuevo León

    Cortés García Realty Group
    Cortés García Realty Group
    Enviar mensaje